La ticchiolatura è una delle malattie fungine più diffuse e temute in ambito ornamentale e frutticolo, capace di compromettere foglie, fiori e frutti se non gestita correttamente
L’introduzione al tema della ticchiolatura consente di comprendere quanto questa patologia rappresenti un problema ricorrente nei giardini e nei frutteti, soprattutto in contesti caratterizzati da elevata umidità e primavere piovose.
Si tratta di una malattia crittogamica causata da diversi funghi del genere Venturia, in grado di attaccare specifiche specie vegetali e di diffondersi rapidamente se le condizioni ambientali risultano favorevoli.
La sua presenza non incide solo sull’estetica delle piante, ma può ridurre drasticamente la produttività e la qualità dei raccolti, rendendo necessaria una conoscenza approfondita del fenomeno per intervenire in modo mirato.
Caratteristiche e natura della malattia
La ticchiolatura si manifesta come una patologia fungina strettamente legata al ciclo stagionale e alle condizioni climatiche. I funghi responsabili svernano sui residui vegetali infetti, come foglie cadute e rami colpiti, per poi riattivarsi in primavera. Le spore vengono trasportate da pioggia e vento, raggiungendo i tessuti giovani e più vulnerabili della pianta.
Una delle sue caratteristiche principali è la progressione graduale, che spesso inizia in modo poco evidente per poi aggravarsi nel corso delle settimane. L’infezione tende a prediligere ambienti con scarsa circolazione d’aria e chiome troppo fitte, dove l’umidità permane a lungo.

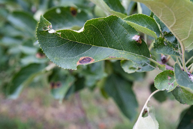
Come riconoscere la ticchiolatura
Riconoscere tempestivamente questa malattia fungina è fondamentale per limitarne i danni. I primi segnali compaiono generalmente sulle foglie giovani sotto forma di piccole macchie irregolari, inizialmente di colore verde oliva o brunastro. Con il passare del tempo, queste lesioni si allargano e assumono un aspetto più scuro e vellutato, segno della sporulazione fungina.
Nei casi più gravi, le foglie possono deformarsi, seccarsi e cadere prematuramente. Anche i frutti risultano colpiti, presentando croste scure e spaccature che ne compromettono l’aspetto e la conservabilità.
Un’osservazione regolare delle piante, magari con l’ausilio di forbici da potatura ben affilate per rimuovere parti sospette, aiuta a individuare il problema nelle fasi iniziali.

Le piante da frutto più colpite
Tra le specie più sensibili alla ticchiolatura si distinguono diversi alberi da frutto, accomunati da una particolare vulnerabilità dei tessuti giovani e da un forte impatto sulla produzione. Le principali piante interessate sono:
- Melo
È la specie maggiormente colpita, con infezioni che interessano in modo esteso sia le foglie sia i frutti. Le macchie scure compromettono l’aspetto delle mele e, nei casi più gravi, causano deformazioni e caduta anticipata, incidendo pesantemente sulla produttività complessiva. - Pero
Risulta particolarmente vulnerabile soprattutto nelle annate caratterizzate da piogge frequenti e umidità persistente. La malattia riduce la qualità commerciale dei frutti e può anticiparne la caduta, rendendo il raccolto irregolare e meno conservabile. - Cotogno
Sebbene meno diffuso nei frutteti moderni, il cotogno è sensibile alla ticchiolatura, che colpisce foglie e frutti con lesioni evidenti. L’infezione indebolisce progressivamente la pianta, riducendo la resa e la vitalità generale. - Nespolo
Alcune varietà di nespolo mostrano una suscettibilità marcata, soprattutto in ambienti poco arieggiati. La presenza della malattia compromette l’aspetto dei frutti e favorisce una produzione discontinua.
Nei frutteti familiari, la diffusione di questa patologia fungina può arrivare a compromettere interi raccolti se non si interviene tempestivamente con una strategia preventiva ben strutturata e continuativa.

Le piante ornamentali
Non solo piante da frutto: la ticchiolatura colpisce anche numerose specie ornamentali, in particolare le rose. In questo caso, le macchie scure sulle foglie rappresentano un danno estetico notevole, riducendo la bellezza complessiva della pianta e la durata della fioritura.
Anche arbusti e alberi ornamentali come biancospino e piracanta possono essere interessati. La perdita precoce delle foglie indebolisce la pianta nel lungo periodo, rendendola più sensibile ad altre malattie e parassiti. La cura dell’aspetto ornamentale richiede quindi attenzione costante e una gestione accurata della chioma.

Come combattere la ticchiolatura
La lotta contro questa patologia si basa su interventi tempestivi e mirati. È possibile ricorrere a trattamenti fungicidi specifici, scegliendo prodotti adeguati al tipo di pianta e al periodo dell’anno. I trattamenti a base di rame risultano particolarmente efficaci nelle fasi preventive e nei primi stadi dell’infezione.
In alternativa, esistono soluzioni sistemiche che penetrano nei tessuti vegetali, offrendo una protezione più duratura. È consigliabile intervenire utilizzando irroratori manuali o a spalla, garantendo una distribuzione uniforme del prodotto.
Fondamentale è anche la rimozione delle parti infette, da eliminare lontano dal giardino per evitare nuove contaminazioni.
- Sciogliere il prodotto in acqua seguendo le dosi riportate in tabella: -…
- 🔥 EXTRA FORTE. Favorisce uno sviluppo sano ed equilibrato della pianta….
- ☘️ CONCIME E NUTRIENTE DELLE PIANTE. Rame Zolfo Flow è un concime…
- 🪴 AMPIO SPETTRO DI COLTURE PROTETTE. Ecologico e può essere usato su…
Prevenzione e buone pratiche
La prevenzione rappresenta l’arma più efficace contro la ticchiolatura. Una corretta gestione del giardino riduce sensibilmente il rischio di infezione. Tra le pratiche consigliate rientrano:
- Potature regolari per migliorare la circolazione dell’aria
- Raccolta e smaltimento delle foglie cadute
- Scelta di varietà resistenti o tolleranti
- Irrigazione mirata, evitando di bagnare il fogliame
Queste azioni contribuiscono a creare un ambiente meno favorevole allo sviluppo del fungo. L’uso di attrezzi ben puliti e disinfettati limita ulteriormente la diffusione delle spore.
Inoltre, è sempre bene ricordare che una strategia preventiva costante consente di ridurre drasticamente la necessità di interventi chimici.

Considerazioni finali
Affrontare la ticchiolatura richiede attenzione, costanza e una buona conoscenza del ciclo della malattia. Interventi precoci, abbinati a corrette pratiche colturali, permettono di mantenere piante sane e produttive nel tempo.
La combinazione di osservazione, prevenzione e trattamenti mirati rappresenta l’approccio più efficace per convivere con questa patologia e ridurne l’impatto, preservando la bellezza del giardino e la qualità dei raccolti stagione dopo stagione.
- ✅ Efficace Contro Muffe, Oidio e Ticchiolatura – Difesa Naturale…
- 🧪 100% Puro Grado Alimentare – Sicuro e di Alta Qualità Prodotto…
- 💧 Facile da Preparare e Applicare – Formula Solubile in Acqua…
- 🛡️ Combatte le infezioni fungine: Blocca l’insediamento di oidio,…
- 🌿 Fortifica le piante: Rafforza le pareti cellulari rendendole più…
- 💧 Protezione dall’umidità ambientale: Ideale per proteggere le…


Scrivi